Migration: Setup Azure Virtual Machine For Backups

1. Open Azure Portal and create a Virtual Machine
 Go to the Azure Portal, click “Create a resource”, and select “Virtual Machine”.

2. Fill in the VM details
 On the Basics tab:

  • Select your subscription and resource group (or create one).
  • Set a name like martyvm.
  • Choose your region, image ( Windows Server 2019), size, and admin credentials.


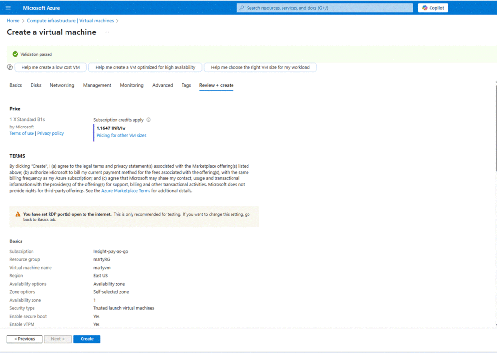
3. Configure VM Networking and Review + Create

  • On the Networking tab, accept defaults or customize the VNet/subnet as needed.
  • Skip adding disks and other services unless required.
  • On the Review + create tab, ensure validation passes.
     Click “Create”, and capture a screenshot confirming deployment has started.

4. Create a Recovery Services Vault

  • In the Azure Portal, search for “Recovery Services vault” and click “Create”.
  • Provide a name ( martyvault), select the same region as your VM, and place it in the same resource group.

5. Enable backup for the VM

  • Open the Recovery Services vault (martyvault) once it’s deployed.
  • Under Getting Started, click Backup.
  • Select Azure as the workload location, and choose Virtual Machine.
  • Click Backup again, then select martyvm from the list and register it.

6. Define the Backup Policy

  • In the same vault, go to Backup policies.
  • Either use the default or click + Add to create a new policy:

    • Name: marty-policy
    • Frequency: Daily
    • Time: 10:00 PM
    • Retention Range:
      • Daily: 7 days
      • Weekly: every Sunday, retain for 4 weeks
      • Ensure “Incremental backup” is selected for daily backups

7. Assign the Backup Policy to the VM

  • After creating the policy, return to Backup items > Azure Virtual Machine.
  • Find martyvm, and confirm that it is associated with the marty-policy.
     

8. Run the First Backup

  • From the Backup pane of the VM, click Backup now to initiate the first backup manually.
  • Monitor the job status from the Backup jobs section.

#Migration #CloudMigration #Azure #M365Migration #EmailMigration